CANNETO PAVESE - Nella prima collina dell' Oltrepo' Pavese, in Comune virtuoso dove si è riusciti a mantenere tutti i " principali servizi" ( scuole materna , elementare e media - Farmacia - Ufficio ...
Che belle queste antiche residenze in Oltrepò, ogni volta in ognuna trovi un qualcosa che le rende uniche. Sono luoghi dove dentro e fuori di casa l’anima si acquieta, non tutto è perfetto, ma solo i ...
Casa Indipendente - Canneto Pavese (PV) - Un sogno in collina ad un piccolo prezzo da oggi è realtà: nello storico scenario del castello di Montuè all’interno del centro storico di Canneto Pavese, a ...
CANNETO PAVESE – Via Roma - Proponiamo in vendita una caratteristica casa di paese con rustico annesso, testimonianza autentica dell’architettura della metà del secolo scorso. L’abitazione, sviluppat ...
Via Casa Zambianchi, 47, Monteveneroso- Canneto Pavese Canneto Pavese è un comune italiano di 1 275 abitanti della provincia di Pavia in Lombardia. Si trova sulle colline dell'Oltrepò Pavese, tra le ...
CANNETO PAVESE (PV) – Terreno edificabile e agricolo in posizione panoramica in vendita In posizione dominante e panoramica, nel cuore dell’Oltrepò Pavese, proponiamo in vendita un ampio terreno di 1 ...
Stupenda villa avvolta dal silenzio e dalla tranquillità ma al contempo non isolata, a soli 5 minuti A PIEDI dal centro di Broni ma con lo sguardo rivolto verso la collina e sulla romantica Canneto P ...
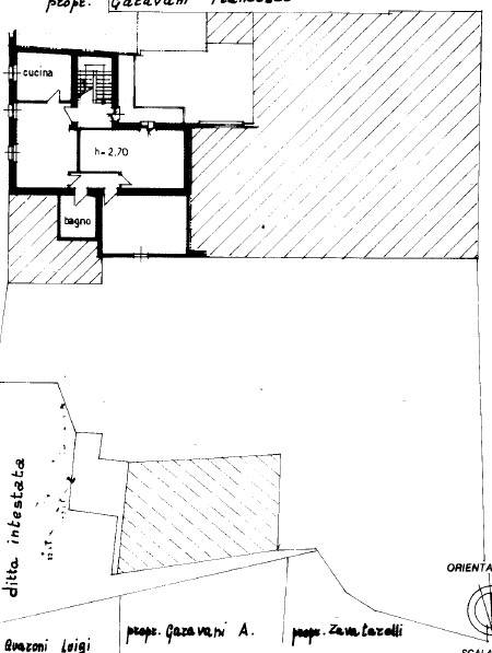
In zona Canneto Pavese, vendesi complesso immobiliare composto da: - Locale commerciale su 2 livelli di 300 mq circa (ex ristorante) - 2 appartamenti di 3 locali, ciascuno di 80 mq circa siti ai pian ...
CANNETO PAVESE - Sulla "prima collina" , a soli 3 km sia da Stradella che da Broni , centralissima , a 100 metri dalla Chiesa e dall'ufficio Postale (in paese troviamo tutti i principali servizi : sc ...
CANNETO PAVESE - Sulla prima collina, su di un crinale panoramicissimo , in zona tranquillissima, a soli 10 minuti da Stradella, in zona residenziale di sole ville e villette, in piccolo complesso di ...