IN ESCLUSIVA! GRADARA - In posizione centrale e panoramica proponiamo terreno edificabile con superficie utile di 823 mq. Attualmente libero da occupazione, ideale per la costruzione di una residenza ...
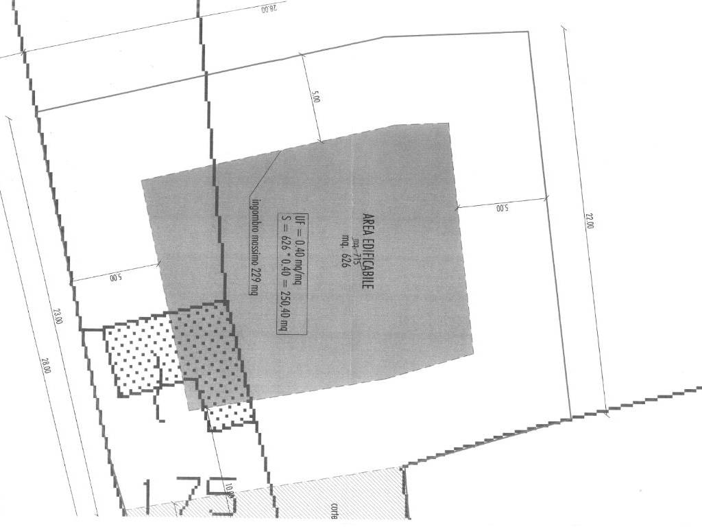
Fanano Alta esclusiva proponiamo in vendita lotto edificabile di 644 mq con una capacità edificatoria dello 0,40 %, dove possiamo realizzare una superficie utile di 250 mq. Per maggiori informazioni ...
IN ESCLUSIVA, in località Santo Stefano di Gradara, vendesi ampio appartamento a piano terra con ingresso indipendente in contesto bifamiliare composto da soggiorno-pranzo, tre camere, due bagni ed u ...
GRADARA - Immerso nella suggestiva cornice del comune di Gradara la nostra agenzia propone in vendita il progetto ecosostenibile GREEN VALLEY. Questo splendido appartamento con una superficie comples ...
Immagina una villa elegante situata su una collina, circondata da una lussureggiante vegetazione, con una vista panoramica mozzafiato sulla natura circostante. La prorietà, è caratterizzata da ampie ...
VENDESI TERRENO EDIFICABILE CON VISTA MARE A GRADARA (Località Fanano Alta) Ideale per villetta o bifamiliare. Vista mare e vista nostre colline fino a Carpegna e San Marino. ✅ Terreno di 1530 MQ ✅ P ...
REFERENTE CLAUDIO FERRO 3464031128: GRADARA, AD.ZE CASTELLO DI GRADARA, a soli 6 km dal mare, In posizione molto interessante, comoda ad ogni servizio, con ampia possibilità di parcheggio. Piccola pa ...
lotto di 750 mq con potenziale edificatorio di 220 di SU per mono o bifamiliare ...
[Rif. DV-8996] Immersa nella suggestiva atmosfera di Gradara, questa villetta a schiera di nuova costruzione offre una soluzione abitativa moderna ed efficiente. L'ingresso indipendente conduce diret ...
IN ESCLUSIVA! GRADARA - Proponiamo in vendita un terreno ad uso agricolo situato nel comune di Gradara (PU). Con una superficie complessiva di 60188 mq (6 ettari) questo terreno offre una vista mozza ...