AGNADELLO: In tranquillo contesto residenziale di recente costruzione, proponiamo in vendita villa singola di quattro locali e doppi servizi, di nuova costruzione. Il progetto prevede lo sviluppo del ...
PARTICOLARITA' E DESCRIZIONE Proponiamo in vendita locale commerciale a Cremona, più precisamente in via Marcantonio Ingegneri. L'immobile si sviluppa su una superficie di 80 mq circa ed è suddivisa ...
Sei stufo della città e sogni una casa per tutta la famiglia? Magari vorresti avere anche i genitori vicino? Ad Annicco, nella tranquilla frazione di Grontorto, proponiamo interessante terratetto ind ...
Nel centro di Crema in zona Porta Ombriano proponiamo CASA INDIPENDENTE TERRA-TETTO, da ristrutturare, ampia metratura abitativa. L'immobile è così composto: al piano terra soggiorno, cucina abitabil ...
Piano alto con ascensore. Appartamento di ampia metratura composto da ingresso, soggiorno, cucina, disimpegno, tre camere da letto, doppi servizi. Riscaldamento centralizzato. Impianto di condizionam ...
ROBECCO D'OGLIO. Proponiamo in vendita abitazione cielo-terra da ristrutturare ubicata nel centro storico del paese ed antistante la piazza della Chiesa parrocchiale. La posizione centrale è particol ...
CREMONA - VIA ANGELO MASSAROTTI - Appartamento di tre locali al secondo piano completo di due camere, doppio servizio, tre balconi, ripostiglio e cantina. In una zona centrale e ben servita di Cremon ...
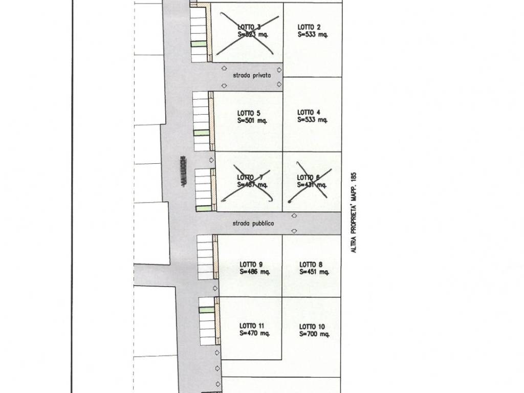
In Comune di Ripalta Cremasca - In tranquilla posizione con vista sulla bella campagna lombarda proponiamo LOTTI DI TERRENO EDIFICABILE ad uso residenziale di varie metrature che vanno dai 450 ai 1.3 ...
TRIGOLO: in pieno centro paese proponiamo in vendita casa indipendente completamente da ristrutturare. Libera sui tre lati ed abbracciata da un'area esterna privata da circa 600mq. Internamente è dis ...
MAGAZZINO IN ZONA SEMI CENTRALE. Con accesso da Via Mantova proponiamo magazzino di 86 mq. Per info contattaci in ufficio! € 69.000 Immobiliare il Torrazzo è un'agenzia immobiliare composta da agenti ...