Appartamento a Ragusa in Viale delle Americhe, 203 - Foto 1
Appartamento a Ragusa in Viale delle Americhe, 203 - Foto 2
Appartamento a Ragusa in Viale delle Americhe, 203 - Foto 3
Appartamento a Ragusa in Viale delle Americhe, 203 - Foto 4
Appartamento a Ragusa in Viale delle Americhe, 203 - Foto 5

Appartamento, Ragusa

Viale delle Americhe, 203

€ 170.000

Descrizione

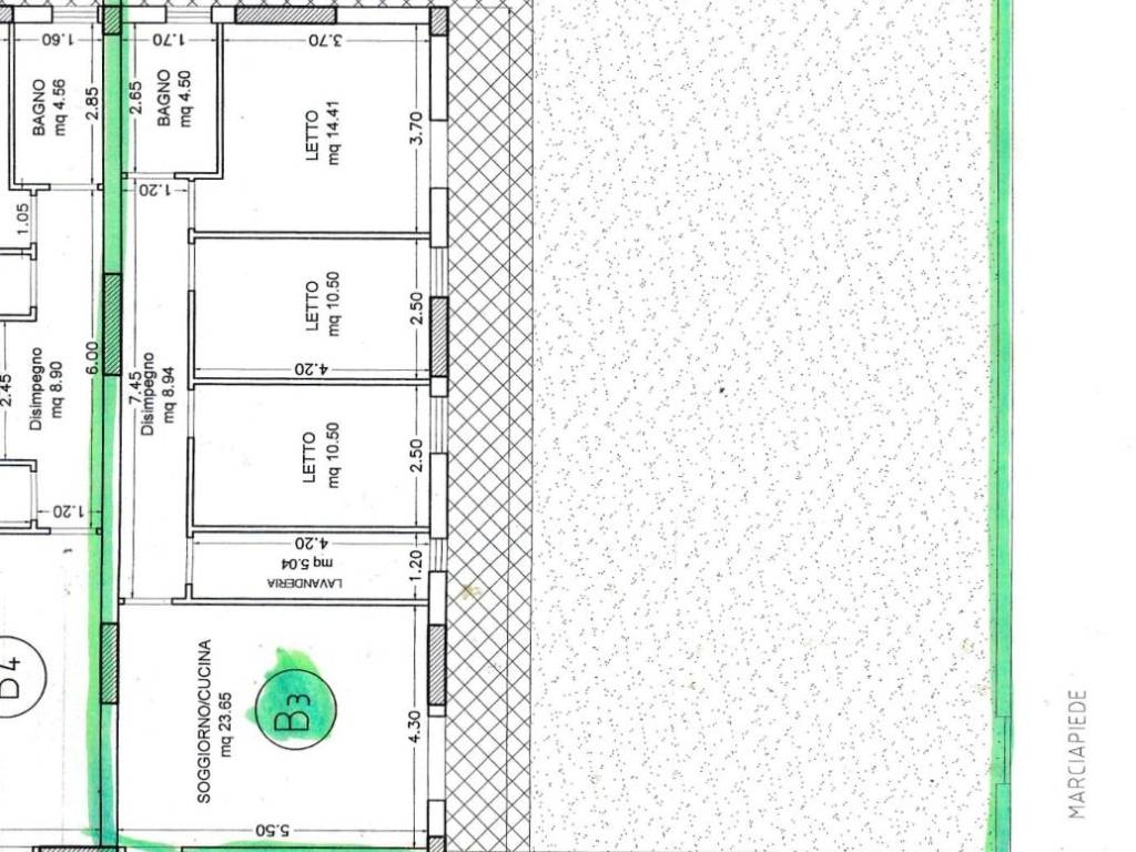
Cod.1189 Vicinanze viale delle Americhe, appartamenti nuova costruzione con giardino e con possibilità di personalizzarli con capitolato di ampia scelta. Piano terra mq 105 composto da cucina soggior

Inserzionista

Portale Immobiliare

Mail Alert Inserisci il tuo annuncio